Date: July 15, 2024
Press Release: Cedar Springs Library and Park Enhancement Continues
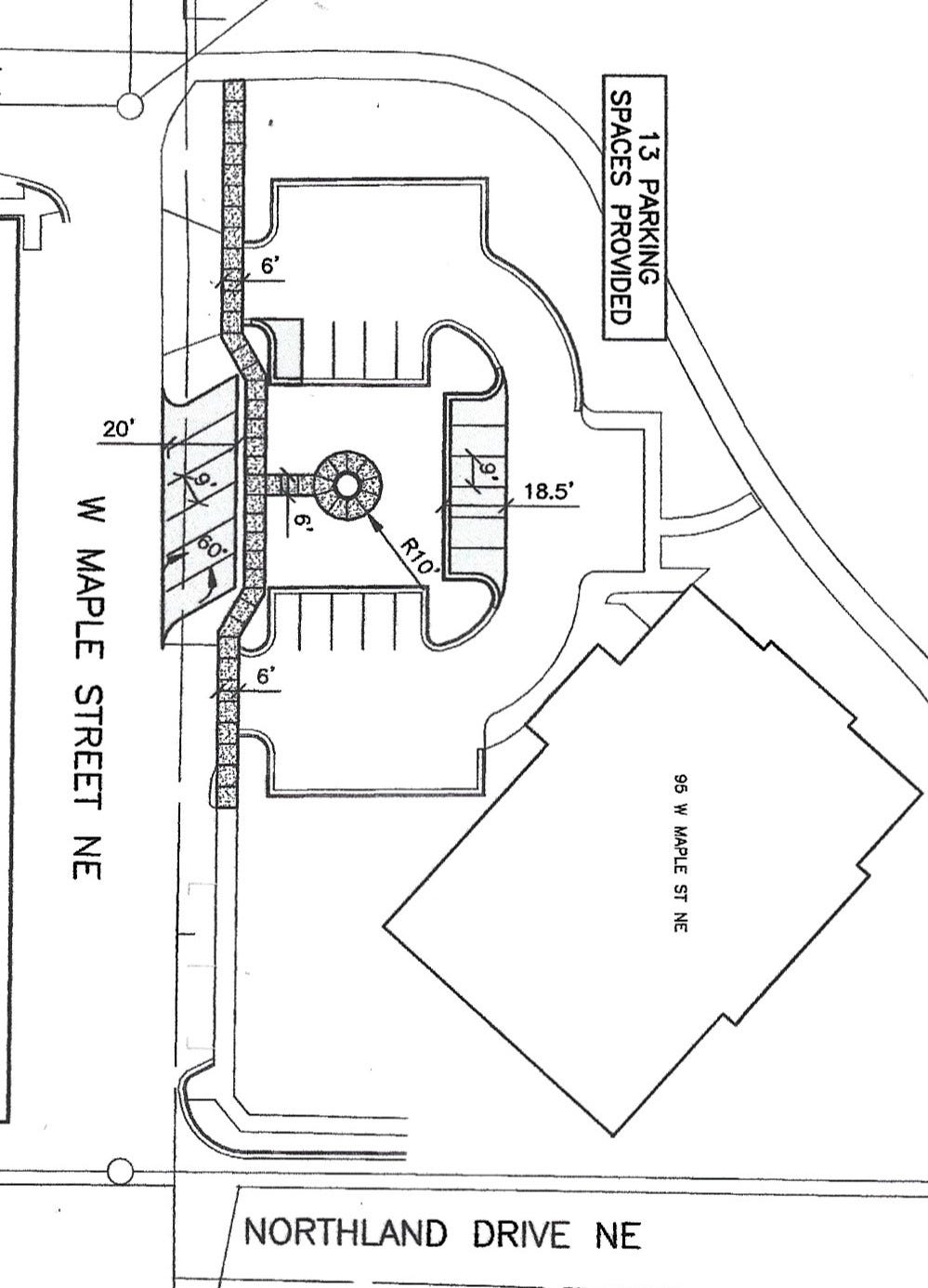
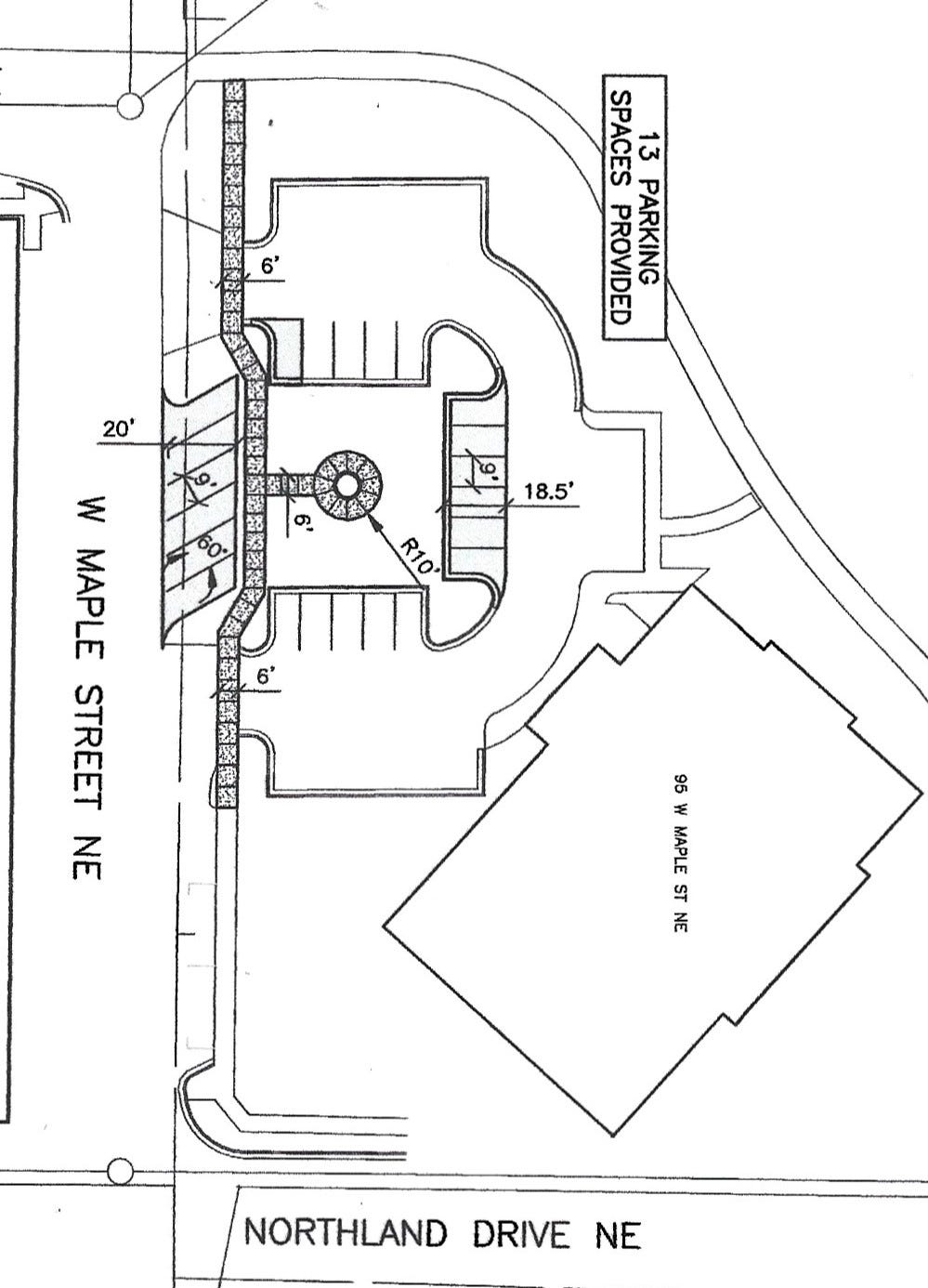
The Community Building Development Team (CBDT) has been working in cooperation with the City of Cedar Springs to create a unique and beautiful design for the vacant land in front of the library where the previous fire station was located. Final details on the exact design for the area in front of the library are still being developed and will be unveiled on Saturday evening, September 21 at the “Making a Splash at the Heart” gala at the American Legion in downtown Cedar Springs. Desired features for the area include a flowing water feature, seating, sculptures, trees, shrubs, flowers, and additional parking.
The designs for this area will align the rich history as an intersection for two train lines that ran east/west and north/south through town. It will also include cedar trees and a water feature to highlight our namesake. The Heart Park amphitheater bears the Fishing Line train logo in its front peak. The CS Library was designed like the original train depot. Roof lines and colors allow the two structures to flow together in making the Heart of Cedar Springs Park an open and accessible area for community enrichment and enjoyment. Maple trees have been planted along Maple Street and throughout the border of the park with numerous personalized benches. The metal arched Larson Bridge allows a beautiful view of the creek. Many special events are scheduled throughout the summer in the Heart of Cedar Springs Park including the city-sponsored free music events each Wednesday evening.
“The designers are working to create and exciting entrance to our community library and park that showcases our history. The greater Cedar Springs community has been very generous and supportive. Residents, organizations, and business owners donated close to $3 million dollars in funds and/or services to allow for all the past projects. Each project has been “paid-in-full” with no tax dollars used. This includes the purchase of property, construction and expanded development of the library and amphitheater, paved walking trails, butterfly and natural gardens, sculptures, clock towers, bridges, an enhanced community park, and parking lots along both Maple and Pine Streets. It is truly a remarkable accomplishment. We believe our community will come together, once again, to complete another amazing chapter at the library,” explained Duane McIntyre, CBDT board member and project leader.
The estimated cost for this project will be $100,000. The CBDT will provide various opportunities for all to get involved. Once again, our goal is to pay all expenses. Tickets to the gala will be available online at the new CBDT website at
or through many of the local businesses soon. You can also email Sue Wolfe at CSCBDTSecretary@gmail.com. Be sure to secure your seat or table as there is limited space. This gala will be a fun evening of community celebration, excitement, and gracious giving. Pledges toward the project are treasured.
.




